
MAYO CLINIC
A web-based app to create, manage, and track all aspects of clinical research studies for the #1 healthcare system in the nation.
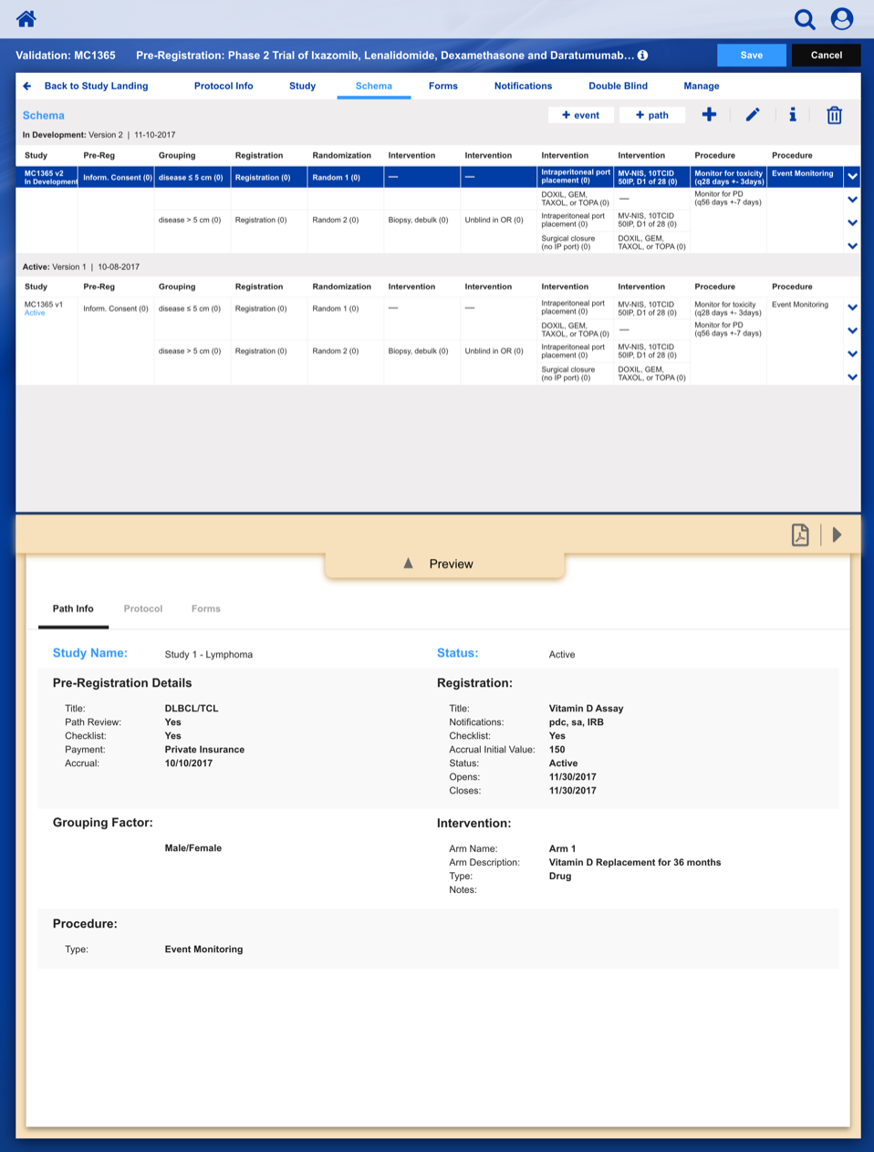
Clinical Trial Patient Registration
The Patient Registration application is designed to replace 30 years of incrementally developed paper-driven process and legacy software. A main design focus was to augment a largely paper-driven process with a digital equivalent, yet still feel familiar to a diverse user population.
The Goal
• Enable study staff to enter eligibility checklist data and determine site compliance and patient eligibility for a given clinical trial.
• Communicate patient, site and related regulatory data to the persons responsible for study conduct.
• Communicate enrollment output (treatment assignment, patient ID, enrollment notes) back to study staff.
• Provide a central location to enroll patients on clinical trials with our healthcare client acting as the statistical and data center.

Main Success Scenario
Using a paper metaphor for a digital system, seamlessly create, manage, and track a clinical study or patient. Accelerate processes and communications while systematically reducing errors.
The Design Focus
We performed the initial user experience research, interviewing study staff and clinical research coordinators, followed with iterative design work, co-developed with product owners.
Our team of seasoned user interface developers built a working set of “Reference Pages” (i.e. working web app) that the client’s own development engineers merged into a newly developed back-office system, as features were being developed.
Using our working “Reference Pages” we were able to conduct usability studies ahead of full feature implementation by the client’s product team.
Getting to Work
Based on our extensive qualitative research of study staff and coordinators, we examined the system architecture and business rules to fully understand and appreciate the requirements.
Working with a small team, we then iteratively mapped out a comprehensive workflow to digitally implement the customer journey, across multiple user roles, through the clinical trial process.
The process started with a series of workshop sessions and culminated in a 13-page set of workflow diagrams. These diagrams mapped out the flow and page collections that would fulfill the application requirements.
After settling on a basic layout and workflow, we started developing a series of wireframe sketches and a corresponding visual language, as shown in this illustration for a Clinical Trial Study Dashboard.
Dashboard Sketches
We use 3M’s Visual Attention Software to analyze and predict end-user visual attention and scanning order, as they are presented with a user interface; this ensures that the important control surfaces are observed by the user with a casual glance.
Dashboard Heat Map
These are responsive design examples that highlight the importance of not just being "mobile friendly", but designing "mobile first" to elegantly support a variety of screen resolutions and aspect ratios.
Responsive Design

The Result
The slideshow demonstrates a variety of visual cues carefully designed to draw attention to Patient Registration details, including validation, possible entry errors, as well as the ability to undo changes.